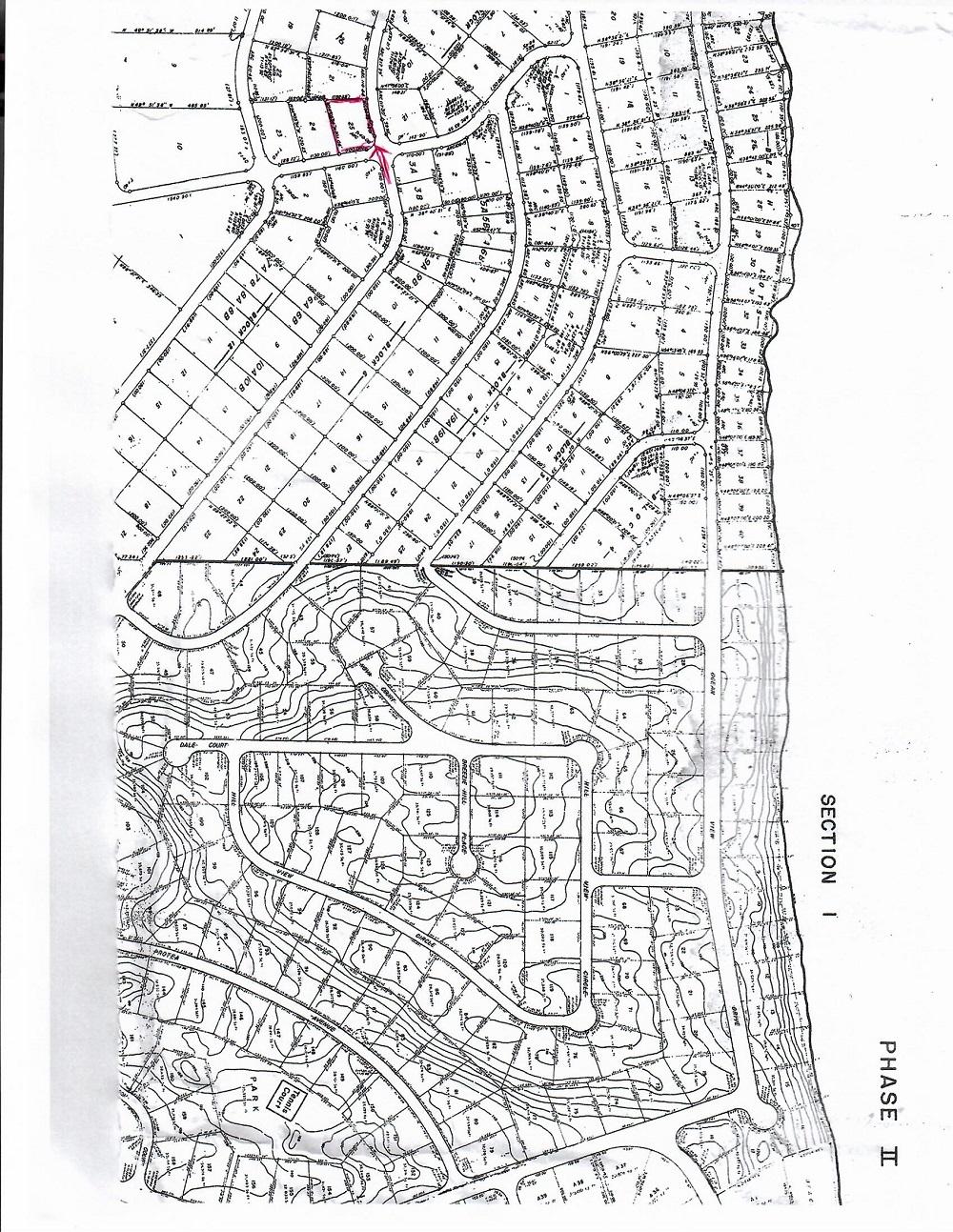
LOT# 25 STELLA MARIS