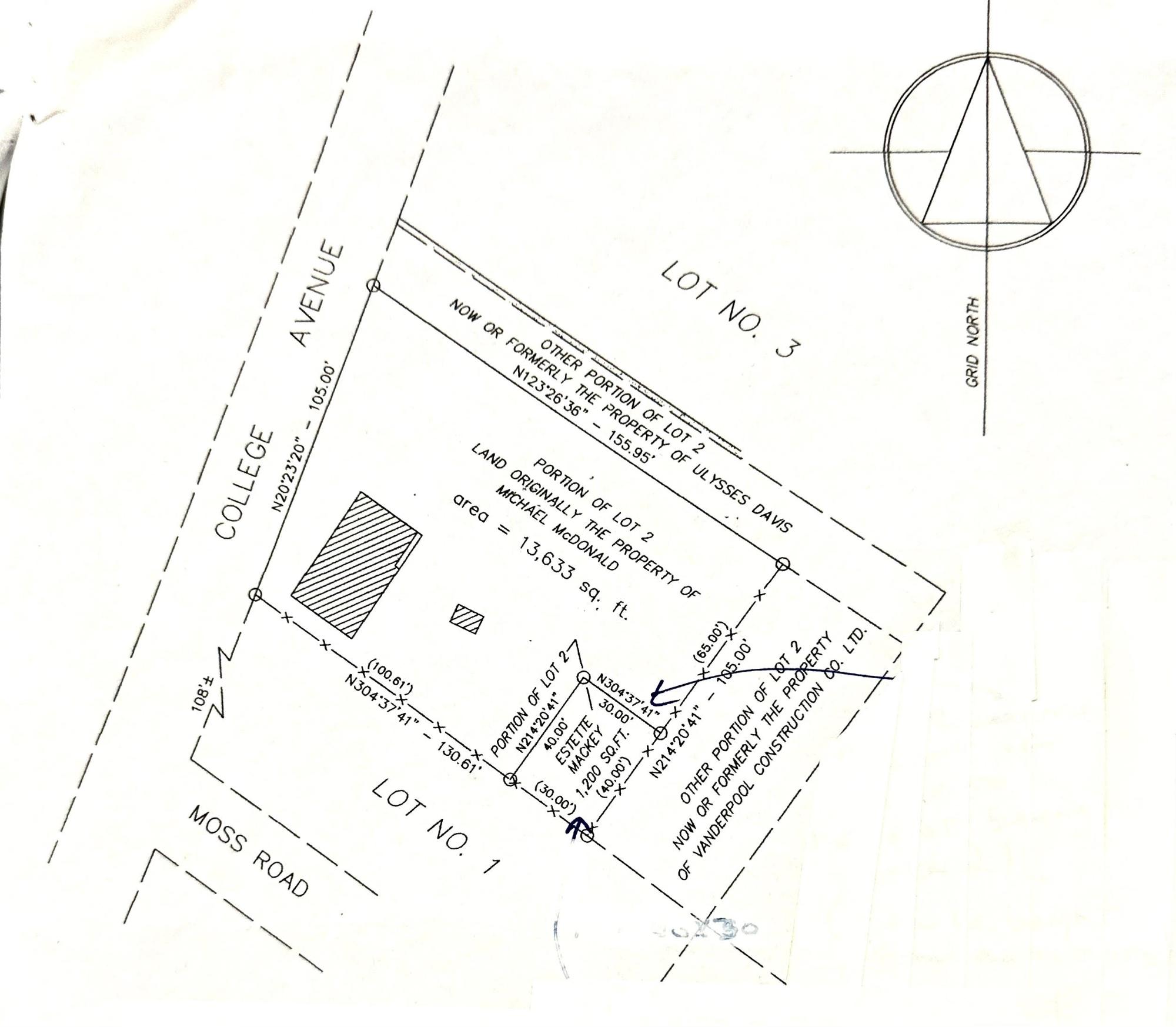
15 OAKES FIELD 14,833 SF LOT