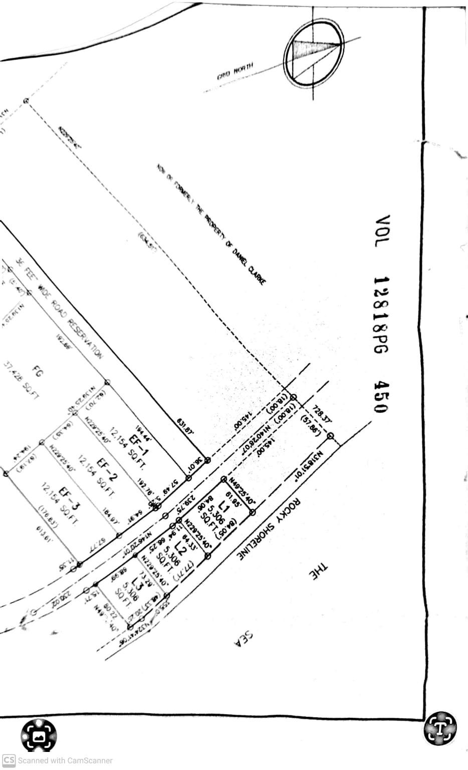
1-3 GRAPE PIECE